
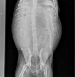
Aster went to the vet today for a pregnancy count x-ray. The vet clearly saw 6 puppies, and said everything looked good. ChatGPT analyzed the two x-rays and counted 7 puppies. So, in a couple of days we shall see. Aster is in the final stretch.


Aster went to the vet today for a pregnancy count x-ray. The vet clearly saw 6 puppies, and said everything looked good. ChatGPT analyzed the two x-rays and counted 7 puppies. So, in a couple of days we shall see. Aster is in the final stretch.
